Tempestades já deixaram mortos e causaram destruição em ilhas caribenhas no início da semana.
Na sexta-feira (23) o furacão Fiona ameaçou chegar à ilha das Bermudas , passando a oeste do território em direção à Nova Escócia. No início da semana, o fenômeno já atingiu uma série de ilhas do Caribe , deixando mortos e causando destruição.
Até momento, ao menos oito pessoas morreram devido ao Fiona e praticamente todos os 3,3 milhões de habitantes de Porto Rico ficaram sem energia durante uma onda de calor.
Ainda, o furacão também tem o potencial de se tornar uma das tempestades mais críticas da história do Canadá.
Veja Também

Prefeitura de Manaus celebra 'Dia da Árvore' com ações ambientais
A previsão é que a tempestade chegasse às Bermudas nas primeiras horas da manhã de hoje, com ventos e chuvas fortes. O fenômeno também está a 1.610 km ao sul-sudeste de Halifax, capital da província canadense de Nova Escócia.
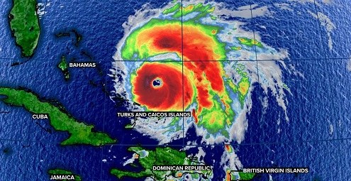
De acordo com o Centro Nacional de Furacão em Miami, a partir das 20h (no horário do Atlântico), o Fiona registrou ventos máximos de 215 km/h e estava a cerca de 455 km a oeste-sudoeste das Bermudas, em direção ao norte-nordeste a 31 km/h.
O furacão está classificado na categoria 4 na escala Saffir-Simpson — que tem cinco etapas —, ou seja, é capaz de produzir danos catastróficos.

Segundo o Environment Canada do governo, o Fiona está se tornando a tempestade mais poderosa a atingir o Canadá , com consequências que podem se estender até sábado (24). O fenômeno deve passar pela Nova Escócia antes de seguir para o norte em Newfoundland e Labrador no domingo (25).
Grande parte do Canadá Atlântico, incluindo pedaços da Ilha do Príncipe Eduardo, New Brunswick e leste de Quebec, sentirão o impacto da tempestade.
Destruição

O furacão Fiona atingiu a ilha de Porto Rico e deixou mortos e milhões de pessoas sem energia elétrica, informaram as autoridades locais nessa segunda-feira (19).
O fenômeno provocou graves inundações e deslizamentos de terra antes de atingir a República Dominicana. O Centro Nacional de Furacões (NHC, na sigla em inglês) disse que a tempestade estava causando "inundações catastróficas".

Fotos: Reprodução
"O olho do furacão Fiona tocou terra ao longo da costa da República Dominicana perto de Boca De Yuma. Os ventos máximos sustentados no momento em que tocou a terra foram estimados em 150 quilômetros por hora", disse o NHC no Twitter.
O presidente dos Estados Unidos, Joe Biden , disse que o governo norte-americano vai financiar a remoção de detritos, a restauração de energia e água, além de fornecer abrigo e comida para o próximo mês.
No território dos EUA, estima-se que um milhão de casas e empresas fiquem sem energia após passagem do Fiona.
Fonte: Com Informações do portal iG
Copyright © 2021-2026. Mulher Amazônica - Todos os direitos reservados.